Local Service Overview

Get Ants Extermination Service in Clifton Park, NY

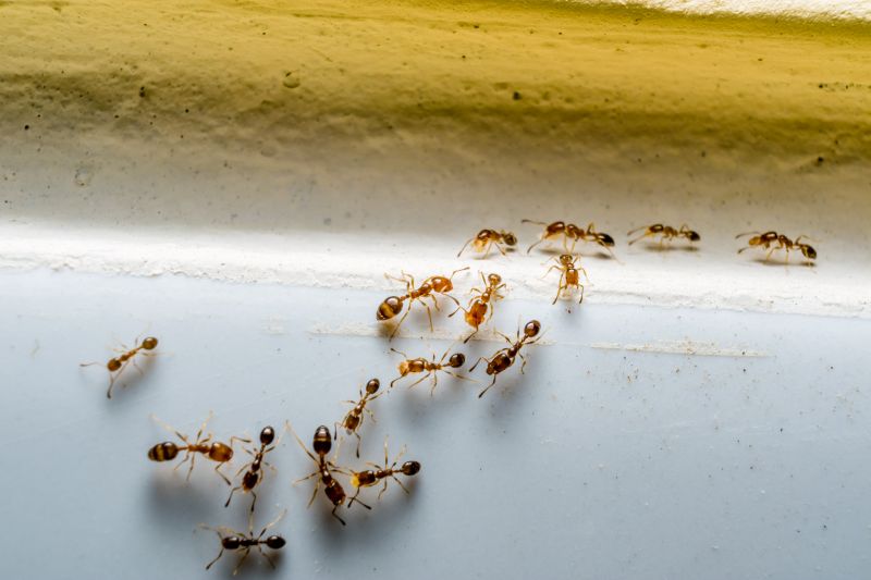
Ants extermination services for property owners in Clifton Park, NY, and nearby areas address ant infestations, nesting issues, and ongoing prevention projects.

Clifton Park, NY

Ants extermination services are essential for property owners in Clifton Park, NY seeking to maintain a comfortable and safe living environment. Effective pest control helps prevent ant infestations that can disrupt daily routines, damage property structures, and compromise hygiene. By addressing ant issues promptly, homeowners can enjoy a more functional space free from the nuisance and potential health concerns associated with these pests, ensuring their homes remain a safe and inviting place for family and guests.

Additionally, professional ant extermination can enhance curb appeal and reduce ongoing maintenance needs. Eliminating ant colonies prevents future invasions, preserving the integrity of landscaping and exterior surfaces. This service supports long-term durability of property features by preventing damage caused by pests and minimizing the need for frequent repairs. Overall, investing in ant extermination contributes to a more enjoyable, attractive, and well-maintained property in the Clifton Park area.

Get Ants Extermination Service Quotes

  • Ants Extermination Services are recommended when residents notice ant trails or nests inside their homes in Clifton Park, NY and surrounding areas.
  • These services are often needed when ant colonies have become established outdoors near residential properties in nearby communities.
  • Ants Extermination Services are useful for preventing infestations in commercial spaces within the region.
  • They are suitable for addressing sudden ant swarms that appear in kitchens, bathrooms, or other areas of a property.
  • Professional extermination is advised when ant activity persists despite DIY efforts in Clifton Park and neighboring towns.

Get Ants Extermination Service Quotes

Ants Extermination Service
Ants Extermination Service
Ants Extermination Service

Ants extermination services involve identifying and eliminating ant infestations within residential, commercial, or industrial properties. Professionals typically conduct thorough inspections to locate the source of the problem, assess the extent of the infestation, and determine the most effective treatment methods. These services often include the application of targeted pest control solutions designed to eradicate existing colonies and prevent future invasions. Depending on the severity of the problem, treatments may involve baiting systems, residual insecticides, or other specialized techniques to ensure comprehensive control.

Ant infestations can cause numerous issues for property owners, including structural damage, contamination of food supplies, and general nuisance. Certain ant species, such as carpenter ants, are known to damage wood structures, potentially compromising the integrity of buildings over time. Additionally, ants can be vectors for bacteria and other pathogens, posing health risks in food preparation or storage areas. Effective extermination services help address these problems by removing colonies and implementing preventative measures to reduce the likelihood of recurring infestations.

The types of properties that typically utilize ants extermination services vary widely. Residential homes often seek these services to protect kitchens, pantries, and outdoor spaces from ant invasions. Commercial properties, such as restaurants, grocery stores, and food processing facilities, frequently require professional pest control to maintain sanitary conditions and comply with health regulations. Additionally, warehouses, office buildings, and hospitality establishments may also engage pest control providers to manage ant problems and safeguard their environments.

Professional ant extermination services are tailored to meet the specific needs of each property type and infestation level. Local service providers use a combination of inspection, targeted treatments, and ongoing monitoring to ensure effective control. Whether dealing with a minor nuisance or a more significant infestation, property owners can contact experienced pest control specialists to develop a customized plan that addresses their unique situation. This approach helps maintain a pest-free environment and minimizes disruption to daily activities.

The overview below groups typical Ants Extermination Service projects into broad ranges so you can see how smaller, mid-sized, and larger jobs often compare in Clifton Park, NY.

In many markets, a large share of routine jobs stays in the lower and middle ranges, while only a smaller percentage of projects moves into the highest bands when the work is more complex or site conditions are harder than average.

Initial Inspection Cost - Typically ranges from $50 to $150 for a professional assessment of ant activity. Prices may vary depending on property size and complexity of the infestation.

Per-Visit Treatment - Expect costs between $100 and $300 per service visit. The price depends on the severity of the ant problem and the treatment methods used by local service providers.

Monthly Maintenance Plans - Monthly ant control plans generally cost between $30 and $70 per month. These plans often include regular treatments to prevent future infestations.

One-Time Extermination Service - A single treatment session can range from $150 to $400, depending on the extent of the ant infestation and property size. Prices vary across different local providers.

Actual totals will depend on details like access to the work area, the scope of the project, and the materials selected, so use these as general starting points rather than exact figures.

Get an Ants Extermination Service Quote

Ants Extermination - Local pest control providers offer specialized services to eliminate ant infestations in residential and commercial properties in Clifton Park, NY. They utilize targeted treatment methods to address various ant species effectively.

Ants Extermination Service

When evaluating ant extermination services, considering the experience of local contractors can provide insight into their expertise and familiarity with the specific challenges of the area. Homeowners may want to explore the background of different providers to understand how long they have been serving communities such as Clifton Park and nearby towns. Reputable references or reviews from previous clients can serve as valuable indicators of a contractor’s reliability and quality of work, helping homeowners make informed decisions based on real experiences.

Clear communication and written expectations are important factors when selecting a pest control provider. Homeowners should seek out professionals who provide detailed information about their services, procedures, and what to expect during and after treatment. This transparency can help ensure that both parties are aligned on the scope of work and any necessary follow-up, reducing misunderstandings and fostering a smoother service experience.

The site introduces local options for ant extermination services, emphasizing the importance of working with trusted local contractors rather than performing the work directly. It is essential for homeowners to contact these service providers directly to discuss their specific needs, verify their reputation, and confirm that the chosen professional can meet their expectations. Building a relationship based on open communication and reputable references can contribute to a successful and satisfactory pest control experience.

Get an Ants Extermination Service Quote

Property owners in Clifton Park, NY use Ants Extermination Service services for practical projects around their homes and businesses. The sections below highlight everyday jobs and straightforward project options.

Ants Extermination Service
Ants Extermination Service

Ants extermination services are commonly sought by property owners in Clifton Park, NY, when they notice signs of an ant infestation, such as trails, nests, or increased activity around their homes or businesses. These pests can invade kitchens, pantries, and other areas, leading to concerns about cleanliness and potential property damage. Local service providers are often contacted to assess the situation, identify the type of ants involved, and implement effective treatment methods to eliminate the colony and prevent future invasions.

Property owners may also seek ants extermination services in situations where previous attempts to control the pests have failed or when they want to ensure a thorough and safe removal process. Seasonal changes and weather conditions can influence ant activity, prompting residents and business owners in Clifton Park to consider professional assistance for ongoing pest management. Connecting with local experts helps address these common issues efficiently and maintains a pest-free environment.

Get an Ants Extermination Service Quote

How do ant extermination services work? Ant extermination services typically involve inspecting the property to identify ant colonies, applying targeted treatments to eliminate ants, and providing advice to prevent future infestations.

Are the treatments safe for pets and children? Many local pros use treatments that are safe when applied properly; it’s best to discuss safety concerns with the service provider during contact.

How long does an ant extermination treatment last? The duration of effectiveness varies depending on the treatment method and the extent of the infestation, with some treatments providing long-term control.

Can I stay in my home during ant treatment? In most cases, residents can remain in their homes during treatment, but it’s advisable to follow any specific instructions provided by the service provider.

What should I do before a pest control visit? It’s recommended to clear the area around ant entry points and follow any preparation instructions given when you contact a local extermination service.

Ants Extermination Solutions - Local service providers offer targeted treatments to eliminate ant infestations and prevent future visits.

Inspection and Identification - Pros can assess property conditions to identify ant entry points and nesting areas for effective removal strategies.

Preventive Barrier Treatments - Experts apply barriers around structures to deter ants from re-entering and establishing colonies.

Ongoing Monitoring and Maintenance - Service providers can set up regular inspections to ensure ant problems are managed and controlled over time.

Ants Extermination Service

Considering Ants Extermination Service for a property in Clifton Park, NY? The sections above highlight common project types, practical options, and details that often shape the scope of work.

When you are ready, use the quote form to share a few details about your project. Local pros can review the basics and respond with options that match what you have in mind.

Get an Ants Extermination Service Quote

Ants Extermination Quotes

Our Trusted Partners
Orkin